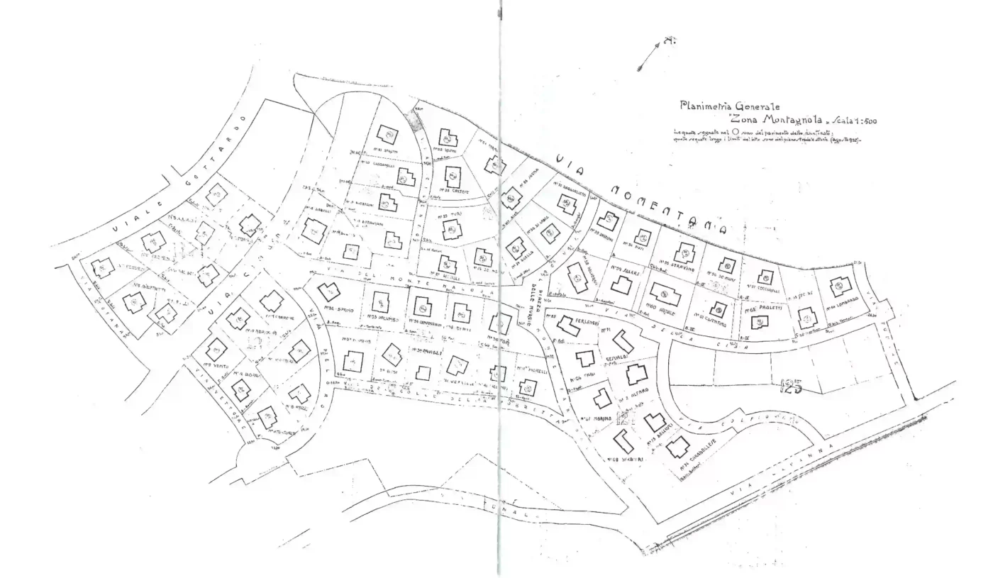
architettura e territorio Mappe, planimetrie e foto aeree tav0665 (pianta CCXLIV,2 Sec XX-1962-Roma edita dall'A.T.A.C. con le linee auto-filo-tranviarie-linee periferiche) Archivi Storici ATAC 1924, Veduta aerea di Città Giardino Aniene; in primo piano la zona dei villini della Cooperativa Impiegati dello Stato in costruzione (Aeronautica Militare – Fototeca Storica) Anni ’30, veduta aerea di Città Giardino Aniene. In primo piano la scuola di Piazza Monte Baldo e i villini della Cooperativa Parva Domus (Aeronautica Militare – Fototeca Storica) 1925, planimetria e piante del complesso Montesacro I, lotto I - Massimo Piacentini (archivio storico ATER) G. Giovannoni, Città Giardino Aniene (1920-27), planimetrie del tessuto urbano di progetto, (CSSAr, fondo Giovannoni) 1942 mappa galleria antiaerea a Montesacro porzione di cartina del piano regolatore di Città Giardino Aniene 1934, planimetria catastale degli 82 villini della Cooperativa Impiegati dello Stato realizzati da Vincenzo Fasolo (Archivio Urbani) G. Giovannoni, Città Giardino Aniene (1920-27), planimetrie del tessuto urbano di progetto, (CSSAr, fondo Giovannoni) 1934, Fotografia aerea di Città Giardino Aniene (Aerofototeca ICCD) Planimentria catastale dei villini della Montagnola (una parte degli 82 villini realizzati dalla cooperativa Città Giardino Aniene) (archivio Urbani) 1922, Veduta aerea di Città Giardino Aniene. In primo piano la zona dei villini della Cooperativa Parva Domus in costruzione (Aeronautica Militare – Fototeca Storica) Anni ’30, fotografia aerea di Piazza Sempione (Aeronautica Militare – Fototeca Storica) Pianta di Roma del 1872; in alto a destra la zona dove verrà costruita Città Giardino Aniene (Archivio Storico Capitolino) Aerofotogrammetria della città di Roma (particolare di Città Giardino Aniene (2010) 1946, veduta aerea di Piazza Sempione (Aeronautica Militare – Fototeca Storica) 1926, veduta aerea di Città Giardino. In primo piano i villini della Cooperativa Impiegati dello Stato e sullo sfondo le costruzioni della Cooperativa Parva Domus (Aeronautica Militare – Fototeca Storica) 1920, Gustavo Giovannoni: planimetria del Piano regolatore di Città Giardino Aniene (Archivio del Centro Studi per la storia dell’Architettura) primissimo piano regolatore della Città Giardino, “progetto per una tramvia elettrica metropolitana e di una città giardino per la città di Roma (Ing. V. Pino e E. De Sanctis, Arch. L. F. Babini), 1919 1926, veduta aerea di Piazza Vulture. In primo piano i villini della Cooperativa Impiegati dello Stato Planimetria con le localizzazioni, in rosso, dei quartieri realizzati dall'ICP (base planimetrica da C. Cocchioni, De Grassi, 1984) 1924, veduta aerea di Piazza Sempione con la Chiesa e i fabbricati di Innocenzo Sabbatini appena ultimati (Aeronautica Militare – Fototeca Storica) Città-Giardino Aniene (1920-27), foto d’epoca dall’alto I. Sabbatini, Città Giardino Aniene, disegni per i palazzi su piazza Sempione (1921-22) (CSSAr, fondo Giovannoni) Città-Giardino Aniene (1920-27), Planimetria generale 13/01/1926 Città Giardino Aniene sotto la neve (Aeronautica Militare – Fototeca Storica) Planimetria generale delle costruzioni e delle aree del quartiere Montesacro (archivio storico ATER) Città-Giardino Aniene (1920-27), pianta del centro del quartiere di piazza Sempione (da C. Marsilio 2003 - fonte: archivio storico ATER) 19/08/1943 fotografia area di Città Giardino Aniene (Aerofototeca ICCD) Città Giardino Aniene, piano regolatore (planimetria scala 1 a 5000 dell'Archivio Storico Ater), 1919 Planimetria della zona settentrionale di Città Giardino Aniene (Da “Vecchie città ed Edilizia nuova”, G. Giovannoni, Unione tipografico-editrice torinese, Torino 1931) 1928, veduta aerea di Piazza Sempione con la Chiesa e gli edifici dell’Istituto Case Popolari completati (Aeronautica Militare – Fototeca Storica) tav0665 (pianta CCXLIV,2 Sec XX-1962-Roma edita dall'A.T.A.C. con le linee auto-filo-tranviarie-linee periferiche) dettaglio Montesacro - Archivi Storici ATAC La costruzione di Città Giardino Aniene La casa della Gioventù Italiana del Littorio (GIL) di Montesacro - Autore: Alessio Giorgetti | | Fonte: Gaetano Minnucci. Progetti 1896-1980. Vita, concorsi, progetti, opere di un protagonista del razionalismo (catalogo), a cura di S. Benedetti e M. I. Zacheo, Roma, 1984 1922, Visita dei soci della Cooperativa Impiegati dello Stato al cantiere dei villini a Città Giardino Aniene (Archivio Urbani, Vol. 1, 1 semestre 1922) 1940-41 rimessa filobus Montesacro (Archivio Storici ATAC) 1922, Via Nomentana, angolo via Cimone, piazza Bolivar (oggi Menenio Agrippa) panificio Spoletini - 1922 (archivio Urbani) Montesacro, rimessa deposito, stato dei lavori filorimessa, capannoncino 1940-41 (Archivi Storici ATAC) Settembre 1922, prove di funzionamento della linea tramviaria 17 (Archivio Urbani, Vol. 2, Settembre 1922 - Giugno 1923) Montesacro, rimessa deposito, stato dei lavori filorimessa, capannoni 1940-41 (Archivi Storici ATAC) 1923, Veduta di Via Col della Porretta in costruzione. Sullo sfondo la pineta e la Torre di Casal de’ Pazzi (archivio Urbani, Vol. 2, Settembre 1922 - Giugno 1923) 1923 - Esondazione dell'Aniene nei pressi del Ponte Tazio (archivio Urbani) 1926, Alcuni soci della Cooperativa "Città Giardino Aniene" (da sinistra: Sisti, Gesualdi, Boella, Matacotta, Fulli, Foà, Adragna, Dobelli, Balboni, Alfaro, Cecere, Di Labio, Vento, Sagna, Turi, Corsi, Franci, Cinti e seduto Tortoreto) (archivio Urbani) 1922, Via Cimone con i villini Foà e Balboni in costruzione (Archivio Urbani, Vol. 1, 1 semestre 1922) 1922, Viale Gottardo (archivio Urbani) 1923, Pranzo d’onore in occasione di una visita al cantiere di Città Giardino Aniene (Archivio Urbani, Vol. 2, Settembre 1922 – Giugno 1923) Guido Urbani con sullo sfondo la chiesa parrocchiale di Piazza Sempione (archivio Urbani) 1922, il villino Ferreri in costruzione. Sulla destra Viale Gottardo (Archivio Urbani, Vol. 1, 1 semestre 1922) Casa della Gil a Montesacro progettata dall'architetto Gaetano Minnucci, Roma 1940 (Archivio Centrale dello Stato, Fondo Gaetano Minnucci) Ottobre 1922 - Cucina all'aperto per il pranzo delle maestranze (archivio Urbani) Montesacro, rimessa deposito, stato dei lavori 1940-41 (Archivi Storici ATAC) 13 gennaio 1923 — Inaugurazione della Piazza Simon Bolivar - Villino Sisti all'angolo di Viale Gottardo (archivio Urbani) Montesacro, rimessa deposito, stato dei lavori 1940-41 (Archivi Storici ATAC) Montesacro, rimessa deposito, stato dei lavori filorimessa, capannoncino 1940-41 (Archivi Storici ATAC) 1922, Comm. Adolfo Balboni, Presidente della Cooperativa "Città Giardino Aniene", con sullo sfondo la veduta di Casal de' Pazzi (archivio Urbani) 30 aprile 1924 - Guido Urbani nelle sue funzioni di assistente alla direzione lavori della Cooperativa "Città Giardino Aniene" (archivio Urbani) 1923 - Via Subasio angolo Via Nomentana (archivio Urbani) 1923 - Il mercato di Piazza Bolivar con sullo sfondo il Villino Prezioso (archivio Urbani) 1922, proseguono i lavori per la costruzione di ponte Tazio, che collegherà via Nomentana nuova a corso Sempione_ sullo sfondo i cantieri dei villini di Città Giardino Aniene (foto Urbani) 13 gennaio 1923 - Inaugurazione della Piazza Simon Bolivar - Villino Prezioso all'angolo di Via Cimone (archivio Urbani) 1937, edifici Ex GIL - Piscina interna 1923 - Il mercato di Piazza Bolivar con sullo sfondo il Villino Prezioso (archivio Urbani) 1922 - Veduta di Viale Gottardo da Via Cimone (archivio Urbani) Montesacro, rimessa deposito, stato dei lavori filorimessa, muro di fondo 1940-41 (Archivi Storici ATAC) Gennaio 1922, Veduta del ponte Tito Tazio in costruzione dal Monte Sacro. Sullo sfondo Viale Tirreno e i villini della Cooperativa Parva Domus (Archivio Urbani, Vol. 1, 1 semestre 1922) 13 gennaio 1923 - Inaugurazione della Piazza Simon Bolivar (archivio Urbani) 1940-41 rimessa filobus Montesacro (Archivio Storici ATAC) 1922, le anse del fiume Aniene verso Casal de Pazzi (archivio Urbani) Anni 20, La "Città Giardino" dalla pineta del Montesacro (archivio Urbani) 1922, Via Cimone, i villini della Cooperativa Impiegati dello Stato in costruzione (Archivio Urbani, Vol. 1, 1 semestre 1922) Allagamento in viale Tirreno (archivio Urbani) 16 Settembre 1922, Inaugurazione della nuova linea tramviaria 17 (Archivio Urbani, Vol. 2, Settembre 1922 - Giugno 1923) Montesacro, rimessa deposito, stato dei lavori 1940-41 (Archivi Storici ATAC) 23 marzo 1933 - Piazza Simon Bolivar affollata di gente (archivio Urbani) 1922, Cartello di cantiere della zona della Cooperativa Impiegati dello Stato (archivio Urbani) 1923, Veduta di Viale Gottardo da Piazza Bolivar (Archivio Urbani, Vol. 2, Settembre 1922 - Giugno 1923) 19 Luglio 1922, foto di gruppo per l’inizio dei lavori dei villini della Cooperativa Impiegati dello Stato con i soci, le maestranze ed il progettista e Direttore dei lavori Vincenzo Fasolo (Archivio Urbani, Vol. 2, Settembre 1922 - Giugno 1923) 1940-41 rimessa filobus Montesacro (Archivio Storici ATAC) 1940-41 rimessa filobus Montesacro (Archivio Storici ATAC) Gennaio 1922, Autobus di collegamento tra la Barriera Nomentana e Città Giardino Aniene (Archivio Urbani, Vol. 1, 1 semestre 1922) Settembre 1922, Prove per il funzionamento della linea tramviaria 17 sul ponte Tito Tazio appena ultimato (Archivio Urbani, Vol. 2, Settembre 1922 – Giugno 1923) 1924, Veduta da viale Gottardo (archivio Urbani) 1922, Inaugurazione della linea tramviaria 17. Sullo sfondo Via Majella e Piazza Bolivar (Archivio Urbani, Vol. 2, Settembre 1922 - Giugno 1923) 1926, Veduta di ponte Tito Tazio da Viale Tirreno dopo i lavori di consolidamento 16 Settembre 1922, Inaugurazione della nuova linea tramviaria 17 a Corso Sempione (Archivio Urbani, Vol. 2, Settembre 1922 - Giugno 1923) Città Giardino - 18 luglio 1922 - Rientro in cantiere dal centro di Roma — Sulla prima macchina: l'autista, il Prof. Fasolo, l'assistente Urbani, il Comm. Balboni e il Cav. Adragna — Sulla seconda macchina: l'autista, l'ing. Viola, l'ing. Pastore, il figlio di Cesare Lapi, ling. De Angelis e il sig. Cesare Lapi (archivio Urbani) 1925, Veduta di Città Giardino Aniene. In primo piano ponte Tito Tazio dopo i lavori di consolidamento e sullo sfondo i villini della Cooperativa dei ferrovieri Parva Domus (Cartolina d’epoca) Ottobre 1922 - Pranzo delle maestranze (archivio Urbani) Montesacro, rimessa deposito, stato dei lavori filorimessa, capannoni 1940-41 (Archivi Storici ATAC) 1922, Veduta di viale Gottardo, sullo sfondo la Batteria Nomentana (archivio Urbani) 1922, Ponte Tito Tazio in costruzione (Archivio Urbani, Vol. 1, 1 semestre 1922) 1922, tavolata per la pausa pranzo di tecnici e maestranze durante la costruzione di Città Giardino Aniene, sullo sfondo Casal dei Pazzi (archivio Urbani) 1937, ex GIL Montesacro - la piscina all'aperto 1923, Largo Sempione con il regresso della linea tramviaria 17. Sullo sfondo Via Majella e Piazza Simon Bolivar con il villino Nurzia in costruzione (Archivio Urbani, Vol. 2, Settembre 1922 - Giugno 1923) 1923, villini della Cooperativa Impiegati dello Stato in costruzione. Sullo sfondo la pineta e la torre di Casal de’ Pazzi (Archivio Urbani, Vol. 2, Settembre 1922 – Giugno 1923) Montesacro, rimessa deposito, stato dei lavori filorimessa, capannoni 1940-41 (Archivi Storici ATAC) I Villini di Città Giardino 1922, Villini Giorgio e Gherardo Ferreri in costruzione in Viale Gottardo (archivio Urbani) 1922, I primi villini della Cooperativa Impiegati dello Stato in costruzione (archivio Urbani) 1923, Villino Sisti in costruzione in Viale Gottardo (archivio Urbani) 1923 - Villini Foà e Balboni da via Cimone (archivio Urbani) 1922, Villino Ferreri in costruzione in Viale Gottardo (archivio Urbani) 1923, Via Cimone, i villini della Cooperativa Impiegati dello Stato in costruzione. In primo piano il villino Balboni (Archivio Urbani, Vol. 3, Luglio-Dicembre 1923) 1924, il villino Foà a via Cimone (Archivio Vincenzo Fasolo) 1922, Villini Fulli e Bertotti in costruzione in Piazza Tofana (archivio Urbani) 1923, visita al cantiere dei soci della Cooperativa Impiegati dello Stato (Comm. Corsi con la figlia, Comm. Balboni, Cav. Greco e l’autista sig. Ferrari) (Archivio Urbani, Vol. 3, Luglio-Dicembre 1923) cartolina raffigurante "le case rapide" in via Monte Velino, 1950 Ottobre 1923 - Via Cimone e sullo sfondo Piazza Sempione (archivio Urbani) 1923, villino della Cooperativa Impiegati dello Stato in costruzione (Archivio Urbani, Vol. 2, Settembre 1922 - Giugno 1923) Villini in via Levanna con affaccio sugli orti a gradoni, anni _30 Ottobre 1922 - Villino Balboni in costruzione in Via Cimone (archivio Urbani) 1923, Veduta dei villini in costruzione lungo Viale Gottardo e Via Cimone (archivio Urbani) 1923 - Villini Fulli e Balboni da via Cimone (archivio Urbani) 1922, villino della Cooperativa Impiegati dello Stato in costruzione (Archivio Urbani, Vol. 2, Settembre 1922 - Giugno 1923) Febbraio 1927, Villino Urbani in Via Picco dei Tre Signori in costruzione (archivio Urbani) Dicembre 1923 - Villini sotto una coltre di neve (in primo piano il villino Balboni) (archivio Urbani) 1923, Villino Fulli quasi ultimato in Piazza Tofana (archivio Urbani) 2 Dicembre 1922, villino Fulli a piazza Tofana in costruzione (Archivio Urbani, Vol. 2, Settembre 1922 - Giugno 1923) 1923, Villino Foà in via Cimone con sullo sfondo Piazza Sempione (archivio Urbani) 1923 i villini della Cooperativa Impiegati dello Stato ultimati (in primo piano il villino Matacotta su Via Vettore) (archivio Urbani) 1924, il villino Adragna a via Cimone (Archivio Vincenzo Fasolo) Villino Ribolsi (Cooperativa Parva Domus) a via Monte Pelmo Oggi, villino in via Vesuvio (foto concessa dal Comitato Salviamo Piazza Sempione) Luglio 1927, Villino Urbani in Via Picco dei Tre Signori al termine dei lavori (archivio Urbani) 1923, il villino Ferreri a viale Gottardo in costruzione (Archivio Urbani, Vol. 2, Settembre 1922 - Giugno 1923) Villino Vitale a via Monte Maloja (Cooperativa Impiegati dello Stato) 1924, Villino Adragna quasi ultimato in Via Cimone (archivio Urbani) 1922, Villino Ferreri in costruzione visto da Viale Gottardo (archivio Urbani) Villino Mazzucca a Via Moncenisio (Cooperativa Parva Domus) Villino Pomardi a via Ustica (Cooperativa Parva Domus) Il villino Rosati quando piazzale Adriatico era solo uno slargo sterrato, 1926 1922, Villino Adragna in costruzione in Via Cimone (archivio Urbani) 1924, il villino Matacotta a via Vettore (Archivio Vincenzo Fasolo) Luglio 1927, Villino Urbani in Via Picco dei Tre Signori al termine dei lavori (archivio Urbani) Villino Fulli a piazza Tofana (Cooperativa Impiegati dello Stato) Villino Balboni in via Cimone (Cooperativa Impiegati dello Stato) 1922, Villini Fulli e Bertotti in costruzione in Via Cimone (archivio Urbani) Ottobre 1923 - Veduta dei villini in costruzione (in primo piano Via Col della Porretta) (archivio Urbani) Settembre 1923, il villino Balboni a via Cimone quasi ultimato visto da sud-ovest (Archivio Urbani, Vol. 3, Luglio-Dicembre 1923) Ottobre 1923, cantiere dei villini della Cooperativa Impiegati dello Stato. In primo piano via Col della Porretta e sullo sfondo via della Cisa (Archivio Urbani, Vol. 3, Luglio-Dicembre 1923) 1923, Villino Cellario in costruzione in Via Capo Peloro (archivio Urbani) 1922 - Villini in costruzione lungo Via Cimone (archivio Urbani) 1923, villino Adragna a via Cimone quasi ultimato (Archivio Urbani, Vol. 2, Settembre 1922 - Giugno 1923) 1922, Villini Fulli e Balboni in costruzione in Via Cimone (archivio Urbani) Villino Barbieri a via Col della Porretta (Cooperativa Impiegati dello Stato) foto scattata da Carla Bielli da una finestra del villino in via Monte Maloia nel 1972 Villino Foà a via Cimone (Cooperativa Impiegati dello Stato) Villino Guazzaroni a via Vettore (Cooperativa Liberi Profesionisti) 1924, il villino Struffi a via Cilento (Archivio Vincenzo Fasolo) 1924, il villino Dobelli a via Cimone (Archivio Vincenzo Fasolo) 1923 - Villini Balboni e Foà (archivio Urbani) 1923, Villino Balboni in costruzione in via Cimone (archivio Urbani) Villino Venditti a largo Arbe (Cooperativa Parva Domus) 1922, il villino Dobelli a via Cimone visto da via Capo Peloro (Archivio Urbani, Vol. 2, Settembre 1922 - Giugno 1923) Ottobre 1923 - Veduta da Viale Gottardo con i villini Balboni, Ferreri e Bertotti (archivio Urbani) Piazza Sempione Anni ’40, Veduta di piazza Sempione dal ponte Tito Tazio (cartolina d’epoca) 1924, i due edifici semintensivi di piazza Sempione progettati da Innocenzo Sabbatini appena ultimati (Archivio Storico Capitolino) 1926, interno del Cinema Teatro Aniene (da A. Calza Bini, Il fascismo per le case del popolo, Roma 1927) Decorazione a stucco della lunetta di una delle finestre del secondo piano riproducente il volto di Innocenzo Sabbatini 1924, l’edificio semintensivo n.1 visto dal porticato di piazza Sempione (Archivio Storico Capitolino) 1924, la torre dell’edificio semintensivo n.1 vista dal loggiato dell’edificio attiguo (Archivio Storico Capitolino) Piazza Sempione dal basso Chiesa dei Santi Angeli Custodi gli interni attuali piazza Sempione in una foto dei primi anni '60 Piazza Sempione, 1980 Chiesa dei Santi Angeli Custodi Deposizione (A. Del Vecchio) 1922, I nuovi edifici di Piazza Sempione in costruzione (archivio Urbani) 1924, Interno della chiesa dei SS. Angeli Custodi appena ultimata (Archivio parrocchiale, fondo Umberto Cece) Chiesa dei Santi Angeli Cappella Crocifisso 1926, vista della copertura del Cinema Teatro Aniene con il lucernario esagonale (da A. Calza Bini, Il fascismo per le case del popolo, Roma 1927) Anni ’20, foto di piazza Sempione con gli edifici semintensivi di Innocenzo Sabbatini realizzati dall’Istituto per le case popolari (Cartolina d’epoca) 1929, auto parcheggiate in piazza Sempione durante le elezioni politiche plebiscitarie 6 Aprile 1986, veduta di piazza Sempione in occasione della visita del pontefice S. Giovanni Paolo II (Archivio parrocchiale) 1926, La sala del Cinema Teatro Aniene (da A. Calza Bini, Il fascismo per le case del popolo, Roma 1927) Piazza Sempione prima del rifacimento del 2021 Chiesa dei Santi Angeli Custodi San Luca Evangelista (A. Del Vecchio) 1923, piazza Sempione. I due edifici semintensivi in costruzione (Archivio Urbani, Vol. 3, Luglio-Dicembre 1923)1923, piazza Sempione. I due edifici semintensivi in costruzione (Archivio Urbani, Vol. 3, Luglio-Dicembre 1923) Madonnina di piazza Sempione in uno scatto del 1970 Dicembre 1923, veduta di Via Cimone dopo una nevicata. Sullo sfondo piazza Sempione con gli edifici e la chiesa in costruzione (Archivio Urbani, Vol. 3, Luglio-Dicembre 1923) Anni ’30, veduta dell’edificio semintensivo n. 1 su piazza Sempione Chiesa Santi Angeli Custodi e Madonnina in una foto del 1975 La cupola della chiesa dei SS: Angeli Custodi dopo gli interventi degli anni ’60 La Madonnina di Piazza Sempione Chiesa dei Santi Angeli Custodi San Marco Evangelista (A. Del Vecchio) 1923, veduta della via Nomentana e del ponte Tazio da piazza Sempione (Archivio Urbani, Vol. 3, Luglio-Dicembre 1923) Piazza Sempione, la Madonnina 1924, la cupola della chiesa dei SS. Angeli Custodi appena ultimata (Archivio parrocchiale, fondo Umberto Cece) L’interno della chiesa dei SS: Angeli Custodi dopo gli interventi degli anni ’60 1940, piazza Sempione sotto una nevicata. In primo piano largo Sempione con l’anello di regresso del tram 17 Veduta da piazza Sempione del fabbricato semintensivo 1, Innocenzo Sabbatini Chiesa dei Santi Angeli Custodi Natività (A. Del Vecchio) Corso Sempione in una cartolina degli anni ’50 (foto Osvaldo Zannoni in Come aravamo. Montesacro 1852-1950, a cura di A. Tiso) Il fabbricato semintensivo n.1 su piazza Sempione progettato da Innocenzo Sabbatini Piazza Sempione prima e dopo l'intervento del Municipio del 2021 In alto: 1927, Piazza Sempione: il fabbricato semintensivo n.2 prima della sopraelevazione del secondo piano; in basso: Piazza Sempione: il fabbricato semintensivo dopo la sopraelevazione del secondo piano Chiesa dei Santi Angeli Custodi affreschi absidali (M. De Angelis) Piazza Sempione durante la nevicata del 1971 1924-25, piazza Sempione in costruzione 1923, l'edificio semintensivo 2 di Piazza Sempione quasi ultimato (archivio Urbani) Metà anni '40, p.zza Sempione, archivio famiglia Cecconi Chiesa dei Santi Angeli Custodi facciata Il ponte Nomentano 1922, una delle frequenti alluvioni che colpivano la Nomentana vecchia e ponte vecchio Inizi anni '20, particolare del ponte Nomentano 1923 - Esondazione dell'Aniene nei pressi del Ponte Nomentano (archivio Urbani) Il Ponte Nomentano in una foto d'epoca (archivio Urbani) 1860 circa, ponte Nomentano visto dalla vecchi via Nomentana Inizio 900, ponte Nomentano Ponte Vecchio fotografato durante la grave piena dell_Aniene nel 1984 1923, veduta del fiume Aniene con il Ponte Nomentano (archivio Urbani) Anni '30, ponte Nomentano Fine '800, ponte Nomentano - Scene di caccia alla volpe Ponte Nomentano accesso in entrata verso Roma Ponte Nomentano, ponte romano caratterizzato da una fortificazione di epoca medievale, nonché teatro dell’incontro tra Papa Leone III e Carlo Magno dicembre 1937, una delle frequenti alluvioni che colpivano la Nomentana vecchia e ponte vecchio 1921, una delle frequenti alluvioni di cui era vittima il ponte vecchio il Ponte Nomentano percorso ancora dalle carrozze a cavallo in una foto di fine _800 Fine '800, ritrovo dei cacciatori per la caccia alla volpe Fine '800, scena di caccia alla volpe 1922, con la costruzione del nuovo Ponte Tazio, il Ponte Nomentano è diventato, per i montesacrini, il “Ponte Vecchio” 2008, Ponte Nomentano durante una piena dell_Aniene (foto Carlo Busi) Il Ponte Nomentano nella sua più classica rappresentazione (archivio Urbani) Ponte Nomentano immortalato da Rosario Mustari durante la nevicata del 1956 1922, Ponte Nomentano (archivio Urbani) Documenti Planimetria e prospetto del villino tipo Dbis del Prof. Vincenzo Fasolo (archivio Urbani) A. Limongelli, Montesacro III (1925-27), lotto 1, fabb. 3, isolato tra viale Gargano e via Abetoni, disegni Il progetto del villino Urbani (prospetto su via Picco dei Tre Signori) (archivio Urbani) 1961, Notturno il ponte Nomentano sull'Aniene a Roma, veduta del Ponte Nomentano sull_Aniene a Roma (disegno) di Offidani Germano (sec XX) Montesacro III, Lotto V, Prospetto dei Fabbricati A e C su Viale Adriatico, progetto di Camillo Palmerini, Archivio Storico Ater, 1928 G. Giovannoni, Città Giardino Aniene, Chiesa degli Angeli Custodi (1922-24), studi per diverse soluzioni planimetriche (CSSAr, fondo Giovannoni) A. Energici, Montesacro III (1927-30), isolato tra p.zza M. Agrippa e via Maiella, disegni (da Cocchioni, De Grassi 1984) 1837, View of the Ponte Nomentano, Pierre-Nicolas Brisset G. Giovannoni, Città Giardino Aniene, Chiesa degli Angeli Custodi (1922-24) disegni di studio per due possibili soluzioni di facciata – Archivio CSSAr, Fondo Giovannoni G. Giovannoni, Città Giardino Aniene, Ponte Tito Tazio (1927) (CSSAr fondo Giovannoni) La prima pagina del registro dei verbali del Consiglio di Amministrazione della Cooperativa Città Giardino Aniene (archivio Urbani) 1920, schizzo prospettico della prima soluzione progettuale per gli edifici di piazza Sempione, poi modificata da Innocenzo Sabbatini (Archivio del Centro Studi per la storia dell’Architettura) C. Palmerini, Montesacro III, lotto tra via Abetone e viale Adriatico, disegni (da C. Cocchioni, De Grassi, 1984) Elenco dei soci della Cooperativa Città Giardino Aniene (archivio Urbani) G. Giovannoni, Città Giardino Aniene, Chiesa degli Angeli Custodi (1922-24) studi di sezione (CSSAr, fondo Giovannoni) Montesacro III, Lotto V, Planimetria villino su via Monte Abetone a firma di Camillo Palmerini (Archivio Storico Ater), 1928 1870 circa, particolare di una litografia di Eugene Ciceri I. Sabbatini, Città Giardino Aniene, disegni per i palazzi su piazza Sempione (1921-22) (CSSAr, fondo Giovannoni) 1833, Agostino Tofanelli - Ponte Nomentano (incisione con lavaggio marrone) A. Energici, Montesacro III (1927-30) lotto 2 fabbr.1, isolato tra via Maiella e piazza Sempione (da C. Cocchioni, De Grassi, 1984) 1922, Gustavo Giovannoni: schizzi prospettici della chiesa dei SS. Angeli Custodi con due soluzioni (non realizzate) per il campanile (Archivio del Centro Studi per la storia dell’Architettura) Planimetria del villino Urbani in Via Picco dei Tre Signori (archivio Urbani) 1921, Vincenzo Fasolo: schizzo prospettico del villino della tipologia Gbis (Archivio Storico Capitolino, Fondo Vincenzo Fasolo) Copertina della guida di "Città Giardino Aniene" del 1926 (archivio Urbani) Disegno del progetto preliminare della nuova scuola di Città Giardino Aniene, l_attuale scuola Don Bosco, 1919 G. Giovannoni, Città Giardino Aniene, Chiesa degli Angeli Custodi (1922-24) studi per soluzioni con il campanile (CSSAr, fondo Giovannoni) 1920, Innocenzo Sabbatini: schizzo prospettico dei due edifici semintensivi su piazza Sempione (da Regni, Sennato, Innocenzo Sabbatini, Roma 1982 - fonte: archivio storico ATER) 1922, sezione dell’edificio semintensivo n. 1 di Innocenzo Sabbatini con la sala del teatro (Archivio Storico ATER) 1922, prospetto del fronte su piazza Sempione dell’edificio semintensivo n. 1 di Innocenzo Sabbatini (Archivio Storico ATER) 1752, Ponte Nomentano, incisione di Giuseppe Vasi G. Giovannoni, Città Giardino Aniene, Chiesa degli Angeli Custodi (1922-24) disegni di studio per due possibili soluzioni di facciata – Archivio CSSAr, Fondo Giovannoni Aggiornamento della guida di "Città Giardino Aniene" (archivio Urbani) Il progetto del villino Urbani (prospetto su via Monte Fantino) (archivio Urbani) 1921, Vincenzo Fasolo: schizzo prospettico del villino della tipologia Dbis (Archivio Storico Capitolino, Fondo Vincenzo Fasolo) 1928, schizzo prospettico da piazza Sempione del complesso Montesacro III Lotto 3 a Via Subasio. In basso a destra una fontana mai realizzata (Archivio Storico Capitolino) 1924, Verbale di consegna del Villino Fulli (archivio Urbani) 1921, Vincenzo Fasolo: schizzo prospettico del villino della tipologia D (Archivio Storico Capitolino, Fondo Vincenzo Fasolo) Prospetto degli edifici semi-intensivi a firma Innocenzo Sabbatini - Archivio Storico Ater, 1920 Frontespizio dello Statuto della Cooperativa "Città Giardino Aniene" (archivio Urbani) Interessante elaborato didattico descrivente le problematiche scaturite dall'inserimento nel tessuto urbanistico di Città Giaridno di alcuni palazzi al posto dei villini originari, 1966 Pagine estratte da un opuscolo pubblicitario per promuovere l’acquisto dei villini di Città Giardino Aniene Archivio Storico Capitolino, 1921 Torna alla Home